
刚刚,超强台风“摩羯”登陆!48小时路径预报——

台风“摩羯”(超强台风级)已于今天16时20分前后在海南文昌市翁田镇沿海地区登陆,登陆时中心附近最大风力17级以上(62米/秒)。台风“摩羯”成为登陆我国的最强秋台。
预计,“摩羯”将继续向西偏北方向移动,先后穿过文昌、海口、澄迈、临高等市县后,于9月6日下半夜至7日凌晨进入北部湾海面。
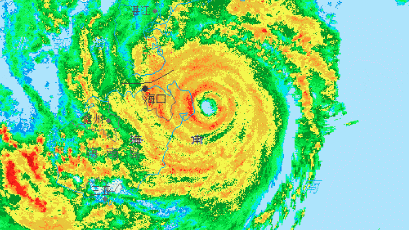
9月6日台风“摩羯”登陆前实时雷达回波图。
此次台风“摩羯”以超强台风级登陆,也是继2014年第9号台风“威马逊”之后登陆我国的最强台风。
台风“摩羯”为何如此之强?据中国天气网首席气象分析师信欣介绍,“摩羯”进入南海后,前进方向海温高、环境垂直风切变小,有利于台风暖心结构维持,并与西南季风紧密结合,为其发展提供持续的能量来源。此外,今年8月台风路径相对偏东,南海上没有台风生成,导致海上积攒的能量非常多,也为台风“摩羯”提供了巨大潜力的发展空间。
中央气象台预计,9月6日至7日,南海北部、北部湾等海域及海南岛中北部、广东西南部、广西南部有大风灾害高风险。6日至8日,广东南部、广西中南部、海南岛和云南等地有暴雨到大暴雨,广东西南部、广西南部沿海、海南岛北部和西部、云南东南部部分地区有特大暴雨,局地累计雨量可达600毫米以上,其中广东西南部、海南岛、广西南部、云南东南部部分站点可能突破9月历史同期雨量极值。
台风“摩羯”来势凶猛,为应对台风正面袭击,海南、广东多地已于近日采取停课、停工、停运等“五停”措施,海南关停所有旅游景区。
来源:@中央气象台、中国天气网、央视新闻