中气爱自研AI模式“坤舆”对台风胚胎97W的路径推演结果_北京时间

中气爱自研AI模式“坤舆”对台风胚胎97W的路径推演结果

中气爱团队已研发一款AI天气预报模型“坤舆”,并于5月中旬投入北印度洋超级气旋风暴摩卡的路径预报中,取得良好效果。(相关介绍请点击:坤舆)。近日,西北太平洋台风胚胎97W快速发展,有可能成为2号台风“玛娃”,不少读者提出,请中气爱用坤舆模式预测97W的路径。
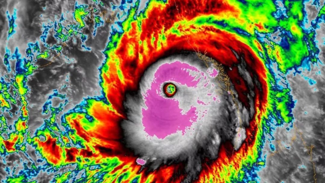
超级气旋性风暴摩卡近巅峰云图,中气爱制作
应读者要求,中气爱使用5月18日的初始场数据,于5月19日在调试后的最新坤舆模式上运行,并将输出结果可视化。输出结果显示:1、97W将成为2号台风玛娃,它将是一个环流较大、强度较强的台风。
坤舆模式对97W未来的的地面气压场、500百帕位势和风场分析
2、97W(玛娃)将在关岛附近洋面北上,不登陆我国。与前一日相比,坤舆模式的预测路径有所东调,但结论相似。东调的原因,在于副高可能比昨日预期的弱。
坤舆模式对97W的路径分析
3、97W(玛娃)北上后,在北纬20度以南加强明显,伴有明显的海洋冷却,在北纬20度以北迅速减弱。
坤舆模式对97W活动期间的气压、地面风场和表面温度分析
而以5月19日的初始场为基础的ECMWF模式则预测,97W(玛娃)将先北上、后西折、再北上,对应5月下旬副热带高压北抬到北纬30度。集合预测分歧非常大。
ECMWF对97W的集合分析,中气爱制作
来源:中气爱科技新知

中气爱自研AI模式“坤舆”对台风胚胎97W的路径推演结果

中气爱团队已研发一款AI天气预报模型“坤舆”,并于5月中旬投入北印度洋超级气旋风暴摩卡的路径预报中,取得良好效果。(相关介绍请点击:坤舆)。近日,西北太平洋台风胚胎97W快速发展,有可能成为2号台风“玛娃”,不少读者提出,请中气爱用坤舆模式预测97W的路径。
超级气旋性风暴摩卡近巅峰云图,中气爱制作
应读者要求,中气爱使用5月18日的初始场数据,于5月19日在调试后的最新坤舆模式上运行,并将输出结果可视化。输出结果显示:1、97W将成为2号台风玛娃,它将是一个环流较大、强度较强的台风。
坤舆模式对97W未来的的地面气压场、500百帕位势和风场分析
2、97W(玛娃)将在关岛附近洋面北上,不登陆我国。与前一日相比,坤舆模式的预测路径有所东调,但结论相似。东调的原因,在于副高可能比昨日预期的弱。
坤舆模式对97W的路径分析
3、97W(玛娃)北上后,在北纬20度以南加强明显,伴有明显的海洋冷却,在北纬20度以北迅速减弱。
坤舆模式对97W活动期间的气压、地面风场和表面温度分析
而以5月19日的初始场为基础的ECMWF模式则预测,97W(玛娃)将先北上、后西折、再北上,对应5月下旬副热带高压北抬到北纬30度。集合预测分歧非常大。
ECMWF对97W的集合分析,中气爱制作
来源:中气爱科技新知