停工、停课!今年最强台风来袭!紧急提醒:做好巨灾防御准备
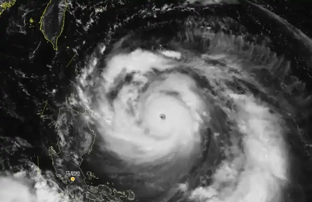
中央气象台最新消息,今年第18号台风“桦加沙”已于9月21日上午加强为超强台风级,并将于23日凌晨进入南海东北部,于24日凌晨至下午在广东汕尾至海南文昌一带沿海登陆,预计登陆时强度为强台风级或超强台风级(14至16级)。

受其影响,21日起,我国南海北部海域及巴士海峡等海域将有强烈大风,23日起,广东、广西等地有暴雨或大暴雨,局地特大暴雨。

气象专家提醒:“桦加沙”将以超强台风级进入南海,移速快,强度强,是今年以来影响我国的最强台风,其巅峰强度将接近2024年第11号台风“摩羯”。同时,“桦加沙”登陆华南的强度也将在强台风或超强台风级,南海北部和华南等地致灾风险极高。
预计23日至25日
广东海面和陆地将有严重风雨影响
广东省气象台9月21日预计,21日余下时间,广东中南部市县仍有中到大雨局部暴雨;22日至23日广东大部市县最高气温33~36℃;受“桦加沙”影响,23日至25日广东海面和陆地将有一次严重风雨影响。
具体预报:
23日,粤东、珠三角中南部、梅州南部和河源南部市县有暴雨到大暴雨局部特大暴雨;其余市县多云到阴天,有(雷)阵雨局部暴雨。雷雨时伴随8-10级短时大风。
24日,粤东、珠三角、粤西有暴雨到大暴雨局部特大暴雨;粤北市县有大雨到暴雨局部大暴雨。
大风预报:
22日,粤东海面风力8~11级阵风12级,南海东北部海面风力10~13级,其中台风中心经过的附近海面旋转风14~17级,阵风17级以上。
23-24日,南海中北部海面、广东省海面风力10-14级,其中台风中心经过的附近海面旋转风15-17级,阵风17级以上。
25日,北部湾海面风力10~13级阵风14~15级;粤西海面、琼州海峡风力7~9级阵风10级,中午起减弱至8级以下;其余海面风力减小至8级以下。
广东省气象局:需提前做好巨灾防御准备
广东省气象局9月21日提醒,“桦加沙”强度强、风圈范围大,将给南海中北部海面、广东海面及中南部市县带来严重风雨浪潮的影响,需提前做好巨灾防御准备,特别是在南海中北部海域所有各类船只和人员需尽快回港避风;已回港避风的船只注意做好安全管理。
广东各地需注意防御强降水导致的城市内涝、山体滑坡、山洪、泥石流、中小河流涨水等灾害。注意防御台风外围出现的局地强雷雨、短时大风、龙卷等强对流天气。
除了关注风雨,预计22日至23日,广东大部分市县高温炎热,需注意防暑防晒。
珠海、潮州预测:可能采取“五停”措施
据珠海应急管理预测
下周珠海或将根据天气情况
采取“五停”等台风防御措施

@潮州天气 发布视频称
受台风“桦加沙”影响
下周三四(9月24日、25日)
或需停工、停课
台风来临
当属地发布台风黄、橙、红
或暴雨红色预警信号任一种
所在区域自动停课
